Επιμέλεια : Φραγκούλη Μαρία
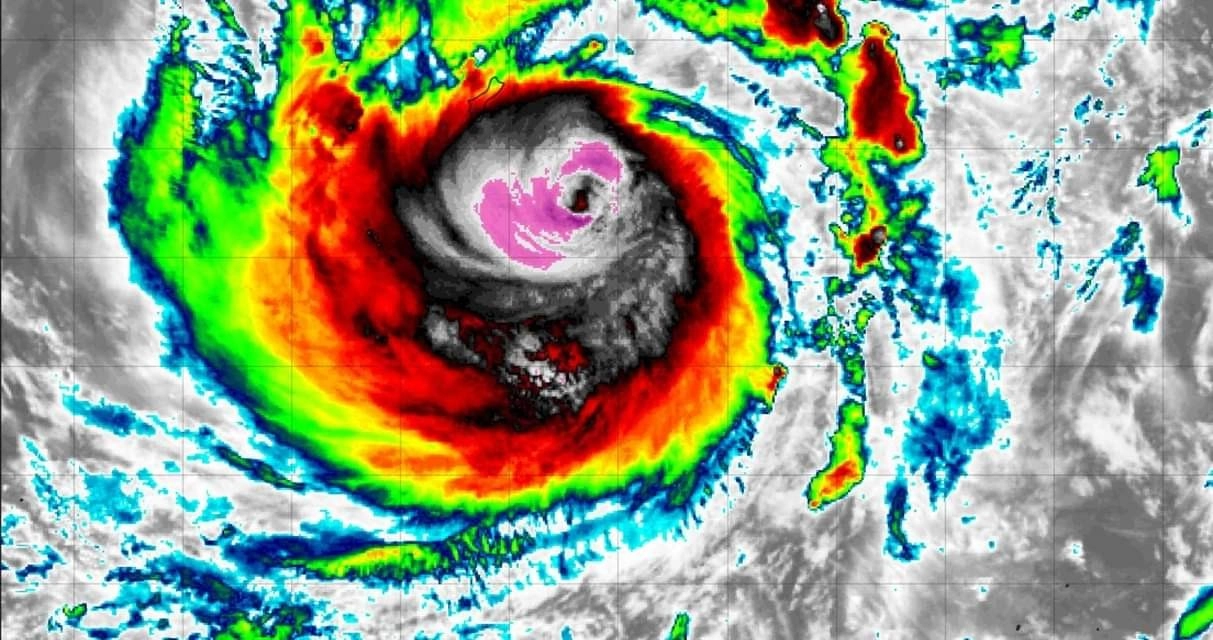
Ένας από τους ισχυρότερους τυφώνες που έπληξαν το Γκουάμ από το 2002 κατέληξε ο Mawar που έπληξε με σφοδρότητα τα κεντρικά και βόρεια του νησιού, προκαλώντας θυελλώδεις ανέμους και καταρρακτώδεις βροχές. Ο τυφώνας Mawar κατηγορίας 4 έφτασε στις ακτές του Γκουάμ τις βραδινές ώρες της Τετάρτης κοντά στην αεροπορική βάση Άντερσεν ρίχνοντας πάνω από 600 χιλιοστά βροχής, ενώ οι σφοδροί άνεμοι αναποδογύρισαν αυτοκίνητα, ξερίζωσαν δεκάδες δέντρα και προκάλεσαν σημαντικές ζημιές στις παράκτιες περιοχές του νησιού.
Σύμφωνα με τον κυβερνήτη της Γκουάμ, Λου Λεόν Γκερέρο, τα χειρότερα μπορεί να πέρασαν, όμως θα χρειαστούν ίσως και εβδομάδες για να αντιμετωπισθεί το μέγεθος της καταστροφής που άφησε πίσω του ο τυφώνας Mawar. Οι αρχές επισημαίνουν ότι το οδικό δίκτυο δεν έχει υποστεί μεγάλες καταστροφές, όμως προειδοποιούν τους πολίτες να είναι ιδιαίτερα προσεκτικοί και να παραμείνουν στα σπίτια τους, λόγω των ιδιαίτερα ισχυρών ανέμων που επικρατούν. Ευτυχώς, δεν υπάρχουν αναφορές για τραυματισμούς ή θύματα.
Σύμφωνα με τους μετεωρολόγους, ο τυφώνας Mawar θα συνεχίσει την πορεία του μέσα στον Ειρηνικό Ωκεανό και ενδέχεται την επόμενη εβδομάδα να απειλήσει την Ταϊβάν με σφοδρούς ανέμους που θα ξεπεράσουν τα 200 χιλιόμετρα την ώρα και με καταρρακτώδεις βροχές που θα προκαλέσουν εκτεταμένες πλημμύρες.





































