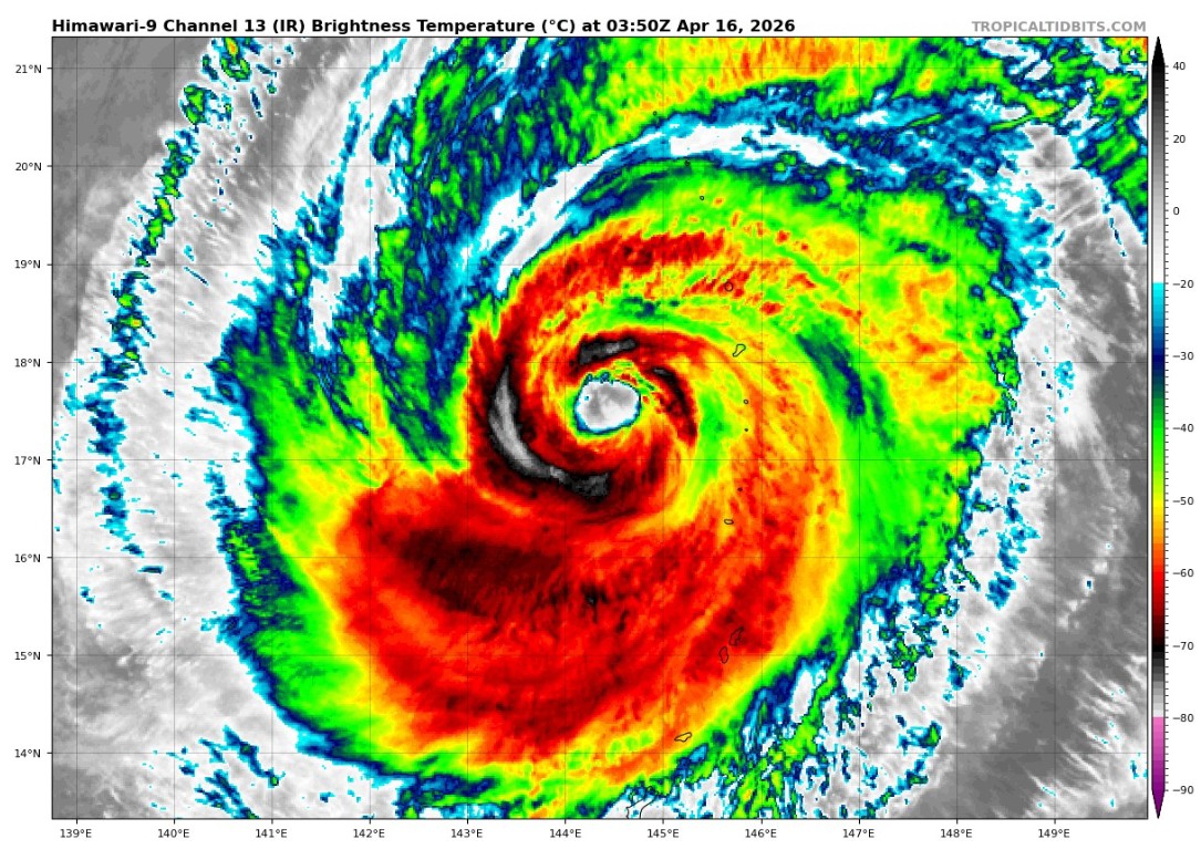
Το πέρασμα του υπερτυφώνα Σινλάκου άφησε πίσω του μια πρωτοφανή καταστροφή στις Βόρειες Μαριάνες Νήσους , χτυπώντας με μια μανία που δεν είχε παρατηρηθεί σε αυτήν την περιοχή του Ειρηνικού εδώ και αρκετό καιρό. Με συνεχείς ανέμους που ξεπερνούσαν τα 240 χλμ./ώρα κατά την πρόσκρουση, η καταιγίδα επιβεβαιώθηκε ως ο ισχυρότερος τροπικός κυκλώνας που έχει καταγραφεί μέχρι στιγμής το 2026, πλήττοντας τα νησιά Σαϊπάν και Τινιάν για αρκετές ώρες μεταξύ Τρίτης και Τετάρτης. Κρίσιμες υποδομές έχουν πληγεί σοβαρά, με το μοναδικό νοσοκομείο της Σαϊπάν να υφίσταται σοβαρές πλημμύρες και πολλά τουριστικά θέρετρα να χάνουν εφεδρικές γεννήτριες λόγω των ισχυρών ριπών ανέμου. Ενώ οι τοπικές αρχές και η FEMA αρχίζουν να κινητοποιούν τις προσπάθειες ανακούφισης, ο απολογισμός των ζημιών σε περιουσιακά στοιχεία φαίνεται καταστροφικός , με στέγες από λαμαρίνες να έχουν ξεκολλήσει και στύλους κοινής ωφέλειας να έχουν ανατραπεί, απομονώνοντας ολόκληρες κοινότητες. Ευτυχώς, παρά την ωμή δύναμη της φύσης, δεν έχουν αναφερθεί θάνατοι, αλλά ο δρόμος για την αποκατάσταση βασικών υπηρεσιών θα είναι μακρύς και ελικοειδής για τους περίπου 45.000 κατοίκους του αρχιπελάγους.
Μια πρωτοφανής κρίση νερού και ενέργειας
Οι τοπικές αρχές έχουν προειδοποιήσει ότι ορισμένες από τις περιοχές που έχουν πληγεί περισσότερο ενδέχεται να μείνουν χωρίς ηλεκτρικό ρεύμα και πόσιμο νερό για αρκετές εβδομάδες . Οι κύριοι δρόμοι είναι προς το παρόν αδιάβατοι λόγω συντριμμιών και ξεριζωμένων δέντρων, γεγονός που καθιστά δύσκολη ακόμη και την πρώτη ακριβή εκτίμηση των ζημιών. Στην Τινιάν, οι κάτοικοι ανέφεραν ότι στέγες σπιτιών έχουν ξεριζωθεί και καλώδια ηλεκτρικού ρεύματος έχουν πέσει, ενώ εικόνες από τη Σαϊπάν δείχνουν μια σχεδόν μετα-αποκαλυπτική σκηνή με αυτοκίνητα να πετιούνται το ένα πάνω στο άλλο από τη δύναμη του ανέμου, ο οποίος ξήλωσε ακόμη και κάγκελα μπαλκονιών.
Ο Αμερικανικός Ερυθρός Σταυρός παρέχει αυτή τη στιγμή στέγη σε πάνω από 1.000 άτομα μεταξύ του Γκουάμ και των Βόρειων Μαριάνων Νήσων . Πολλοί κάτοικοι κατέφυγαν σε καταφύγια έκτακτης ανάγκης πριν η καταιγίδα χτυπήσει με όλη της τη δύναμη, ένα προληπτικό μέτρο που πιθανότατα απέτρεψε μια τραγωδία από άποψη ανθρώπινων ζωών. Η κατάσταση παραμένει επισφαλής, ωστόσο, με τα αποθέματα βασικών αγαθών να αρχίζουν να εξαντλούνται σε ορισμένα τοπικά καταστήματα που έχουν προσπαθήσει να ανοίξουν ξανά παρά τις ασταθείς δομές και την έλλειψη ρεύματος.
Το Τέρας του Ειρηνικού Μετακινείται Βόρεια
Σύμφωνα με στοιχεία της Εθνικής Μετεωρολογικής Υπηρεσίας , ο Σινλάκου διατήρησε την ισχύ του υπερτυφώνα με ανέμους έως και 200 χλμ./ώρα, ακόμη και καθώς απομακρύνθηκε από τα κύρια νησιά το βράδυ της Τετάρτης. Το καιρικό σύστημα κινείται τώρα βορειοδυτικά, κατευθυνόμενο προς τα λιγότερο πυκνοκατοικημένα ηφαιστειακά νησιά στο βόρειο άκρο του αρχιπελάγους. Αν και η ένταση των ριπών έχει μειωθεί ελαφρώς από την άφιξη στην ξηρά, η θάλασσα παραμένει εξαιρετικά ταραγμένη και οι καταρρακτώδεις βροχές συνεχίζουν να πέφτουν σε μεγάλα τμήματα της περιοχής, εμποδίζοντας τις αρχικές πτήσεις αναγνώρισης.
Η ομοσπονδιακή υπηρεσία FEMA έχει ήδη ανακοινώσει την ανάπτυξη πρόσθετου εξειδικευμένου προσωπικού και εφοδίων για την αντιμετώπιση αυτού που υπόσχεται να είναι μια από τις πιο σύνθετες ανθρωπιστικές καταστάσεις έκτακτης ανάγκης της χρονιάς στην περιοχή του Ειρηνικού. Το Γκουάμ , αν και δεν επηρεάστηκε άμεσα από το μάτι του τυφώνα, βίωσε επίσης τροπικούς ανέμους που δοκίμασαν την ανθεκτικότητα των στρατιωτικών βάσεων των ΗΠΑ και των τοπικών δικτύων ηλεκτρικής ενέργειας. Τις επόμενες ώρες, η προσοχή θα στραφεί στην αξιολόγηση της δομικής ακεραιότητας των κτιρίων για να διασφαλιστεί η ασφαλής επιστροφή των κατοίκων.
Πηγή: www.meteoweb.eu





































