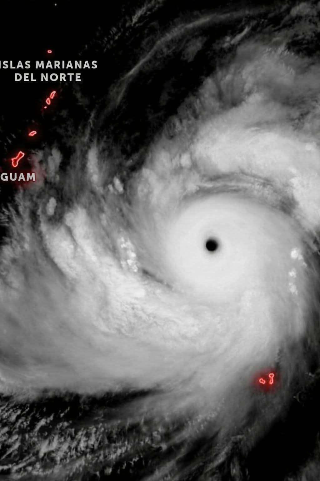
Εκρηκτική εντατικοποίηση του Τυφώνα Σινλάκου σε λιγότερο από 24 ώρες: το σύστημα άλλαξε γρήγορα από Κατηγορία 1 στην Κατηγορία 4, και συνεχίζει να ενισχύεται με δυνατότητα να φτάσει στην Κατηγορία 5 τις επόμενες ώρες.
Σύμφωνα με τα τελευταία μοντέλα, δεν αναμένεται άμεσος αντίκτυπος στο Γκουάμ, ωστόσο, παραμένει σημαντική απειλή για τα νησιά Μαριάνα, όπου ήδη ενεργές προειδοποιήσεις για τυφώνα
Η περιοχή αυτή αναμένεται να βιώσει ισχυρούς ανέμους άνω των 200χλμ/ώρα με καταστροφικές συνέπειες, έντονες βροχοπτώσεις με ισχυρές καταιγίδες και επικίνδυνη θαλασσοταραχή με κύματα που θα ξεπερνούν ακόμη και τα 10 μέτρα.



Ως εκ τούτου, συνιστάται ο πληθυσμός να ενημερώνεται μέσω επίσημων πηγών και να λαμβάνει τις δέουσες προφυλάξεις.
Πηγή: Bioletin Del Tiempo





































