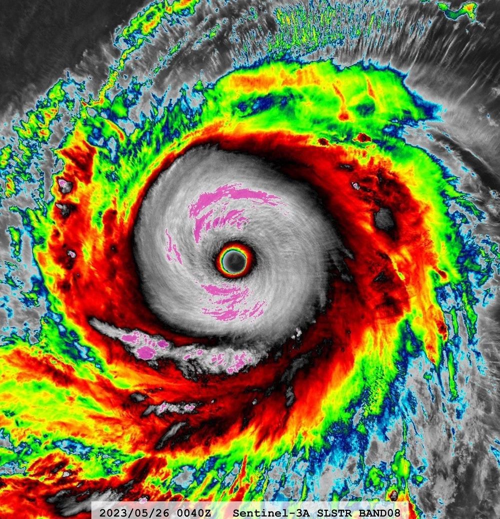
Σε έναν τυφώνα - τέρας κατηγορίας 5 έχει εξελιχθεί ο Μπολάβεν αυτή την στιγμή στα δυτικά τμήματα του Ειρηνικού Ωκεανού, με τις ριπές των ανέμων να αγγίζουν ακόμα και τα 345 χιλιόμετρα την ώρα, με αποτέλεσμα να θεωρείται για φέτος η δεύτερη ισχυρότερη καταιγίδα του πλανήτη. Αν και την δεδομένη στιγμή βρίσκεται σε απόσταση μεγαλύτερη των 3.200 χιλιομέτρων από βορειοανατολικά τμήματα των Φιλιππίνων, δεν παύει να αποτελεί μεγάλη απειλή τόσο για τα πλοία, όσο και για τα αεροπλάνα που θα διασχίσουν τα βόρεια και δυτικά τμήματα του Ειρηνικού Ωκεανού.

Αυτό ωστόσο που προκάλεσε έκπληξη στους επιστήμονες, ήταν η άνευ προηγουμένου εντατικοποίηση που παρατηρήθηκε στον τυφώνα μέσα σε μόλις 24 ώρες, αφού από την κατηγορία 1 τυφώνας που ήταν μέχρι την Τρίτη με την ταχύτητα των ανέμων να φτάνει τα 145 χιλιόμετρα την ώρα, μέσα σε μόλις 12 ώρες εξελίχθηκε σε κατηγορία 5 τυφώνας, με τους ανέμους να φτάνουν τα 257 χιλιόμετρα την ώρα και οι ριπές τα 345 χιλιόμετρα την ώρα, πλησιάζοντας να σπάσει το παγκόσμιο ρεκόρ που διατηρεί μέχρι και σήμερα ο τυφώνας Πατρίτσια ο οποίος είχε εκδηλωθεί το 2015.

Σύμφωνα, με τις προβλέψεις των μετεωρολόγων, ο τυφώνας Μπολάβεν θα διατηρηθεί για τις επόμενες 24 ώρες στην ίδια κατηγορία, ενώ αναμένεται να καταλήξει πάνω από τον Βόρειο Ειρηνικό Ωκεανό χωρίς να απειλήσει την στεριά και σταδιακά θα εξασθενήσει λόγω ότι θα συναντήσει ψυχρότερα νερά, με αποτέλεσμα και οι άνεμοι να υποχωρήσουν σημαντικά μέσα στις επόμενες 2 με 5 ημέρες.






































